Excepcional lote en el corazón de Barrio Lourdes
Ubicado en una de las zonas más consolidadas y demandadas de la ciudad, este amplio terreno representa una excelente oportunidad para desarrollo inmobiliario.
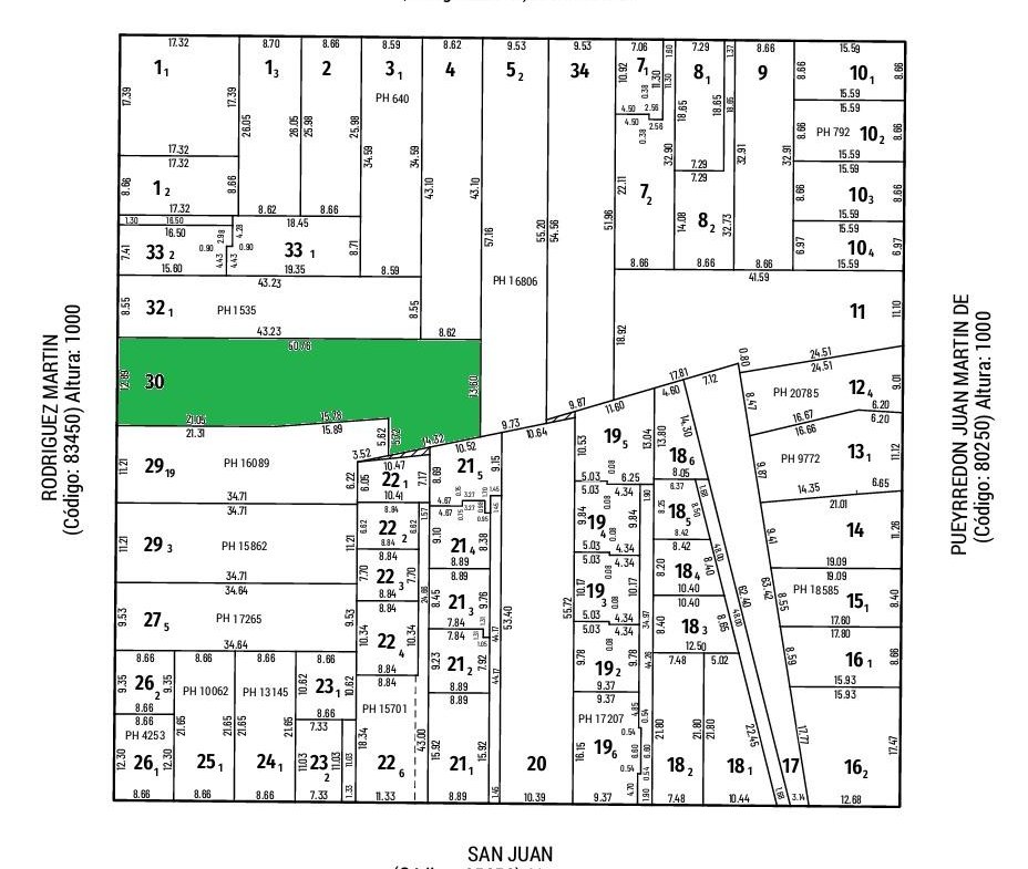
Superficie total: 722 m²
Frente: 12,89 m
Fondo (lado norte): 50,76 m
Contrafrente: 13,60 m
Lateral sur: línea quebrada en tres tramos
Por sus dimensiones y proporciones, resulta ideal para emprendimientos residenciales o proyectos de uso mixto.
Parámetros urbanísticos
El lote se encuentra dentro del Primer Anillo Perimetral al Área Central, con clasificación AT1 – Área de Tejido 1, lo que permite:
FOS (Factor de Ocupación del Suelo): 0,70
Altura mínima: 4 m
Altura máxima: 19,50 m
Posibilidad de Planta Baja + 6 pisos
A partir de los 33,85 metros de profundidad, el lote se encuentra afectado a centro de manzana, con las restricciones correspondientes en ese sector.
Ubicación estratégica en Barrio Lourdes, con cercanía a corredores comerciales, instituciones educativas, centros de salud y excelente conectividad.
Una oportunidad ideal para desarrolladores e inversores que buscan un proyecto de alta rentabilidad en una zona de sostenida demanda.